上海市宝山区沪太路1500弄51号既有多层住宅加装电梯项目设计方案公示_公共服务_上海市宝山区人民政府门户网站

上海市宝山区沪太路1500弄51号既有多层住宅加装电梯项目设计方案公示

信息来源: 大场镇 发布时间 2025-08-29
【字号
  • 所属类目: 公共服务
  • 主题分类: 城乡建设(含住房)
  • 体       裁: 其他
  • 发布日期: 2025-08-29
  • 发文字号:
  • 发文日期: 2025-08-29
  • 公开类别: 主动公开
  • 机构名称: 大场镇

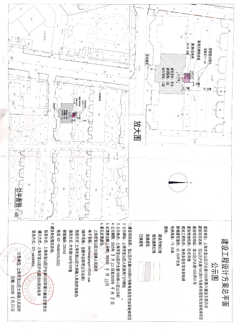
依据《上海市建设工程设计方案规划公示规定》的要求,由上海市宝山区大场镇人民政府监督,上海宝山区沪太150051单元既有建筑加装电梯工程设计方案将进行公示,敬请关注。

 

1、公示名称:上海宝山区沪太150051既有多层住宅加装电梯项目设计方案

 

2、公示网站:上海市宝山区政府门户网站

 

3、公示现场地点:上海市宝山区沪太1500弄小区公示栏

 

4、公示期限:2025830日至202598

 

5、收集意见截止期:2025915

 

6、意见反馈途径:

上海市宝山区大场镇人民政府

电子邮箱:dachanggongshi@163.com(邮件名称、主题中应标明公示名称)

信函方式:上海市宝山区大场镇人民政府加梯

通讯方式:大华路1469109

邮政编码:200442

联系电话:021-56684155*3222

 

7、项目情况咨询:

信函方式:上海市宝山沪太路1500弄第六届业主委员会

通讯地址:上海市宝山区沪太路150028号甲

联系电话:021-66340053

公告单位:上海市宝山区大场镇人民政府

日期:2025830

 

当前页二维码